Makléř: Milan Šámal
Telefon: 602 100 ...
E-mail: samal@j ...
Zobrazit celý kontaktTelefon: 602 100 722
E-mail: samal@justo.cz
Nemovitost nabízí
JUSTO Česká republika
Korunní 2569/108, 101 00 Praha 10
Zobrazit kontakt na RK
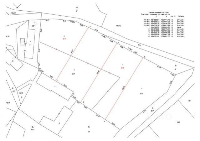
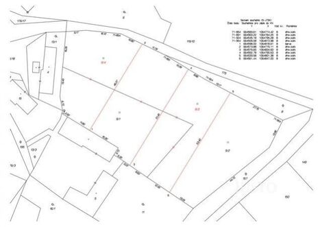
Ve výhradním zastoupení majitele nabízíme k prodeji atraktivní stavební pozemek o velikosti 1 164 m v klidné části obce, Lipoltice, v části Sovoluská Lhota, poblíž obce Přelouč. Pozemek je součástí plánovaného rozdělení dvou parcel p.č.9/1 a 9/2, na kterých vzniknou čtyři samostatné parcely, každá o výměře přes 1 000 m. Tato nabídka je ideální volbou pro ty, kteří hledají dostatek prostoru pro výstavbu rodinného domu v příjemném a tichém prostředí. Pozemek se nachází na okraji obce, v lokalitě s minimálním dopravním provozem. Okolí tvoří rozlehlá pole, louky a lesní celky, které zajišťují dostatek soukromí i možností pro relaxaci a volnočasové aktivity v přírodě. Pozemek je v územním plánu veden jako plocha smíšená venkovská obytná s hlavním využitím: plochy smíšeného využiti ve venkovských sídlech využívané zejména pro bydlení v rodinných domech (včetně domů a usedlostí s hospodářským zázemím), obslužnou sférou a nerušící výrobní činnosti. V současnosti je pozemek bez přípojek s příjezdem po nezpevněné komunikaci, která je majetkem obce. Sovoluská Lhota je typickou ukázkou klidného a bezpečného bydlení s výbornou dostupností do širšího okolí. V Přelouči jste za 9 minut a v Heřmanově Městci za 15 minut. Pardubice jsou vzdáleny pouhých 20 minut jízdy. Pokud hledáte místo pro svůj nový domov v přírodě s výbornou dostupností města, je tato nabídka určena právě Vám. Pro více informací o této nemovitosti nebo sjednání prohlídky nás prosím kontaktujte <a href="https://www.eurobydleni.cz/pozemky/stavebni-pozemek-bydleni/pardubice/obec-lipoltice/prodej/"><strong>Prodej stavebního pozemku Lipoltice</strong></a>
Pozemek, bydlení, prodej, Sovoluská Lhota, Lipoltice, Pardubice
Ve výhradním zastoupení majitele nabízíme k prodeji atraktivní stavební pozemek o velikosti 1 149 m v klidné části obce, Lipoltice, v části Sovoluská…
Pozemek, bydlení, prodej, Lipoltice, Pardubice
Pozemek určen podle územního plánu (plochy smíšené obytné venkovské) k výstavbě. V současné době jsou na pozemku ovocné stromy a stodoly. Inženýrské…
Prodej stavebního pozemku Lipoltice na Eurobydleni.cz